
Status: Active
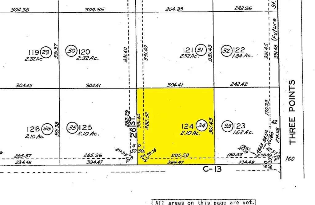
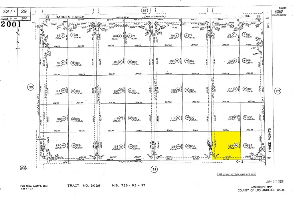
Seller will carry "easy terms" "Neenach area" ( near 5 Fwy) Flat parcel of 2 acres in the middle of homes. Build your dream home on this peaceful area, Just feet to Hwy 138. Nice community of Neenach, Mountain views, Easy terms. Stunning views of Tehachapi mountains. Address is just an approximate. We have many other lots
Listing provided courtesy of Wesly Iniguez of LA Best Homes. Last updated . Listing information © 2025 SDMLS.